近日,2024年度全国十大考古新发现初评启动,由中国社会科学院考古研究所和甘肃省文物考古研究所联合发掘的“甘肃临洮寺洼遗址”顺利入围初评。
洮河、寺洼遗址(中部山前缓坡)及背后“C”型山
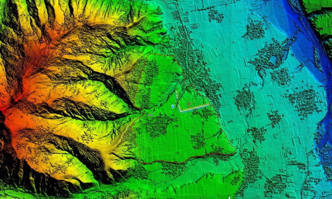
寺洼遗址及周边地貌(上为西南)
寺洼遗址地形及主要发现示意图 (据刘建国图改定)
马家窑文化是黄河上游最重要的考古学文化之一,主要分布在黄河上游及其支流洮河、湟水、渭河一带,范围涉及今甘肃、青海、宁夏、内蒙古、陕西、四川等省区,距今约5000至4000年,以彩陶生产和使用为鲜明特色。马家窑文化源于仰韶文化,是仰韶人群对西北高地大规模开拓的成果,创造了史前彩陶艺术的巅峰,孕育了西部诸多考古学文化,开辟了东、西方交流的早期通道,对中华文明产生了持久且深远的影响。
中华文明探源工程实施以来,很多地区尤其黄河、长江中下游地区的早期文明化进程和模式日益清晰,而黄河上游在相关问题上依然模糊不清,文明探源的很多重要问题尚未触及。马家窑文化正处在黄河上游的核心腹地,年代居于文明探源的关键时期,在中华文明探源研究中具有填补西北地区空白的重要意义。
寺洼遗址位于甘肃省定西市临洮县寺洼山村,为寺洼文化命名地。遗址西靠九龙山,面向洮河。遗存主要分布在山前平缓坡地上,河流自南向北从其前方流过,见有马家窑文化、齐家文化、寺洼文化以及辛店文化遗存,面积约200万平方米。1924年,安特生首次发现该遗址,1945年夏鼐在此开展考古发掘。2018至2024年,中国社会科学院考古研究所、甘肃省文物考古研究所联合在遗址开展7次发掘,揭露面积近4000平方米,发现并发掘出马家窑文化大型聚落和寺洼文化大型墓地。
马家窑文化大型聚落位于遗址北部,现已发现三重近方形“围壕(沟)”、近百座房址、大量灰坑窖穴、十余座陶窑和数座墓葬,另有疑似“道路”和大面积“人工堆土”的线索,时代从马家窑类型延续到半山类型,在多个方面取得重要突破:
寺洼遗址历年发掘区及“围壕(沟)” 分布图
首次发现史前时期三重近方形布局大型“围壕(沟)”
三重“围壕(沟)” 整体近正方向,平行分布,直角转弯,形制和布局相当规整。西南转角位于寺洼山村委会北侧,北接洪水沟,东至断崖。东北部缺失,现存东西长约600米,南北宽约450米,内部复原面积近30万平方米。三沟口部均宽约9~11米,中、外圈深约3~4米,内圈深约1.3~2.5米,相互间距约8~9米。沟底部西南角最高,与东、北端落差约9~10米。多处见有通道,且大致对应,应是经过精心规划和测量后修建的大型工程。从年代、形制布局、内部堆积和出土遗物看,三者应同时存在和使用过,但功能性质有别。中圈和外圈应属“围壕”,兼具防御和排水的功能;内圈沟内发现丰富的生产生活遗迹和遗物,应属沿“围壕”规整分布的“围沟”状生产生活区。始建和主要使用年代均为马家窑类型时期,距今约5000年,是目前已知国内最早的多重近方形大型“围壕(沟)”结构,为后世(长)方形“城池”的出现奠定了早期基础,很可能是中国(长)方形“城池”的雏形。
“围壕(沟)"西南角内侧拐角(上为北)
“围壕(沟)"南段东侧解剖点(上为西)
内圈“围沟”平、剖面图(上为西)
中圈“围壕”平、剖面图(上为西)
外圈“围壕”平、剖面图(上方为西)
“围壕”内侧内涵丰富,发现多处手工业生产生活区
“围壕”内侧西北角发掘区(上为东)
“围壕”内侧西北角发掘区重要房址布局图
(上为东;蓝色马家窑类型,黄色半山类型)
“围壕”内侧,内圈“围沟”内发现了陶窑、灰坑、房址、柱洞等诸多遗迹和大量遗物。附近区域也发掘出多处呈片状分布的遗迹群,见有大量房址、窖穴、陶窑等遗迹,部分房址应属手工业作坊。结合同时期储泥坑、制陶工具、陶窑和烧制废品的发现,可以确定马家窑类型时期,内圈“围沟”及其内侧区域存在多处制陶区,且布局新颖,在马家窑文化中属首次发现。鉴于制陶规模较大、生产水平高超、延续时间较长,不排除这是一处区域性制陶中心。马家窑文化制陶所取得的成就,尤其是彩陶的生产和使用均达到了史前时期的巅峰。此外,内圈“围沟”内侧还发现了同时期的石器加工场所,出土成套的石钻、石环半成品和废料。上述均凸显出手工业生产在马家窑社会中的独特地位。
2021GLSF6
2023GLSF71及出土陶器
2020GLSH330
马家窑类型泥质灰陶
2023GLSG6Y1
2021GLSY1
2021GLSF15&M120
2023GLSF58&M121、M124
2023GLSM121
“围壕”外侧,发现疑似“道路”和大面积“人工堆土”
“围壕”以外,经勘探和试掘,在西侧发现了马家窑类型的疑似“道路”和大面积“人工堆土”的线索。“人工堆土”局部似有夯打痕迹,与疑似“道路”均靠近“围壕”通道处。这在马家窑文化中也属首次发现,体现出寺洼遗址马家窑文化大型聚落的精心规划、丰富内涵和所达到的文明化程度。遗址西侧近山前,还发现了规整的夯土建筑基址,时代待确认。
首次发现马家窑文化半山类型大型聚落
寺洼遗址马家窑文化大型聚落中,半山类型聚落的内容前所未见,是一项填补空白的发现。半山类型遗存此前的考古发现主要是墓地,仅在青岗岔遗址发现过几座房址、陶窑和窖穴。本次在“围壕”内侧,发掘出一批半山类型房址、灰坑、窖穴、陶窑和墓葬,与这一时期尚存的“围壕”共同组成了半山类型聚落的重要内容,填补了半山类型聚落发现的空白。半山类型房址内葬人的现象也属首次发现。半山类型大型聚落的发现,还对探讨东、西方早期文化交流,尤其是一些重要生业技术如冶金,以及绵羊、黄牛、麦类作物的传入和早期发展具有重要意义。
首次确认马家窑文化高等级、中心性聚落
寺洼遗址马家窑文化大型聚落是目前已知规模最大、内涵最丰富、级别最高的马家窑文化大型聚落。聚落以近方形“围壕”为界分为两大部分。“围壕”内侧,发现呈“围沟”状和片状分布的多处生产生活区,发掘出丰富的房址、灰坑、陶窑、墓葬等遗迹和大量遗物。“围壕”外侧,西、南部发现疑似“道路”、大面积“人工堆土”和其他丰富遗存,聚落总面积近百万平方米。遗址所在的洮河谷地南端,还分布着数十处同时期不同规模的遗址,大者如朱家坪、格致坪等,形成了一处马家窑文化聚落群。寺洼遗址在其中属引领者,应是一处马家窑文化的中心性聚落。
马家窑类型彩陶
马家窑类型石钻、石环半成品
寺洼遗址马家窑文化大型聚落展现了5000年前黄土高原西部大型聚落的整体面貌和丰富内涵,彰显了西北地区早期社会的发展水平和文明化程度,填补了中华文明探源研究中黄河上游核心腹地关键时期的空白,极大丰富了中华文明起源和早期发展的内容及模式。马家窑文化从仰韶文化发展而来,一路向西北、西南开拓,以农业生产为基础,以高水平专业化彩陶生产、交换和贸易为特色,重视商业和城市的发展,创造了史前彩陶艺术的巅峰,孕育了西部诸多重要文化,开辟了东、西方交流的早期通道,其所取得的成就毫不逊色于同时期其他地区的考古学文化,实证了中华文明的博大精深和源远流长。
2021GLSM120出土半山类型陶器
2023GLSM121出土半山类型陶器
来源丨中国文物报 甘肃省考古研究所
